Destacadas
-
Finaliza período de renovación del programa Tarifa Unidos para estudiantes
El pasado 31 de mayo del presente año, concluyó el período de renovación al programa Tarifa Unidos 2025 para las…
Leer nota -
Apenas 12 millones de ciudadanos participaron en la elección judicial: INE
Entre doce y trece por ciento de los mexicanos con derecho a votar participaron en la elección judicial, así lo…
Leer nota -
Detienen a 17 presuntos sicarios por ataque con mina en Michoacán; 12 son colombianos
El Ejército Mexicano capturó a 17 presuntos integrantes del Cártel de Los Reyes, incluyendo a 12 ciudadanos colombianos, por su…
Leer nota -
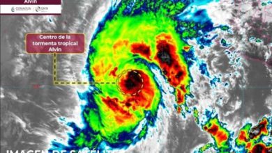
“Alvin” se fortalece frente a las costas de Jalisco y Colima
El Servicio Meteorológico Nacional informó que la tormenta tropical Alvin se ha fortalecido al sur de las costas de Jalisco…
Leer nota -
Firma Mauricio Kuri convenio con Ávoris Travel School
Como parte de la gira de trabajo por España el gobernador, Mauricio Kuri González, firmó un convenio de colaboración y…
Leer nota -
Querétaro y España más cerca que nunca: Mauricio Kuri
Desde España, el gobernador, Mauricio Kuri González, encabezó la presentación oficial del nuevo vuelo directo entre Querétaro y Madrid, que…
Leer nota -
Se reúnen autoridades metropolitanas para dar seguimiento a temporada de lluvias
Para dar seguimiento al protocolo de atención y los mecanismos de colaboración para la temporada de lluvias, el secretario de…
Leer nota -
Capacitación de Mujeres Operadoras de Transporte continúa sumando participantes
La secretaria del Trabajo, Liliana San Martín Castillo, dio a conocer que arrancó un nuevo periodo de capacitación del programa…
Leer nota -
Hoy se reanuda el diálogo con la CNTE: Sheinbaum
La disidencia magisterial aceptó reunirse este mediodía con los secretarios de Gobernación y de Educación Pública, informa la presidenta Claudia…
Leer nota -
Querétaro: segundo lugar nacional en c h a r r e r í a
Querétaro: segundo lugar nacional en c h a r r e r í a El equipo de c h…
Leer nota